Map Snapshot
19 Records
Citations
No citations linked for this taxon yet.
Source: Wikipedia
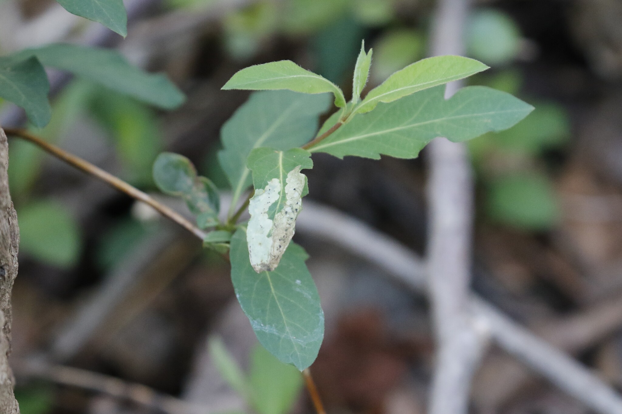
| Aulagromyza cornigera | |
|---|---|
| Leaf mine on Symphoricarpos albus | |
| Scientific classification | |
| Kingdom: | Animalia |
| Phylum: | Arthropoda |
| Clade: | Pancrustacea |
| Class: | Insecta |
| Order: | Diptera |
| Family: | Agromyzidae |
| Genus: | Aulagromyza |
| Species: | A. cornigera
|
| Binomial name | |
| Aulagromyza cornigera (Griffiths, 1973)[1]
| |
| Synonyms | |
| |
Aulagromyza cornigera is a species of leaf-mining fly in the family Agromyzidae. The larvae of this fly mine the leaves of plant species of the Lonicera (honeysuckle) and Symphoricarpos genera within the honeysuckle family. Mines potentially from this species have also been found on Triosteum perfoliatum.[2]
Description
[edit]Larvae of this species form white or greenish-white linear mines with black alternating lumps of frass on the upper surface of leaves. The species is univoltine, with larvae found as early as late March and as late as early June.[2]

Distribution
[edit]The species is native to Europe, being found as far north as Norway and as far east as the Volga District of Russia.[3][4] It is also found in the United States and southern Canada.[4]
References
[edit]- ^ a b Griffiths, G.C.D. (1973). "Description of an unnamed Paraphytomyza (Diptera, Agromyzidae)". Entomologist's Gazette. 24: 307–310.
- ^ a b Charley, Eiseman (June 2019). Leafminers of North America (1 ed.). pp. 1811, 1818–1819, 1932.
- ^ "Aulagromyza cornigera". Plant Parasites of Europe. 19 December 2021. Retrieved 12 January 2025.
- ^ a b "Aulagromyza cornigera (Griffiths, 1973)". Global Biodiversity Information Facility. Retrieved 12 January 2025.