Map Snapshot
11 Records
Relationships
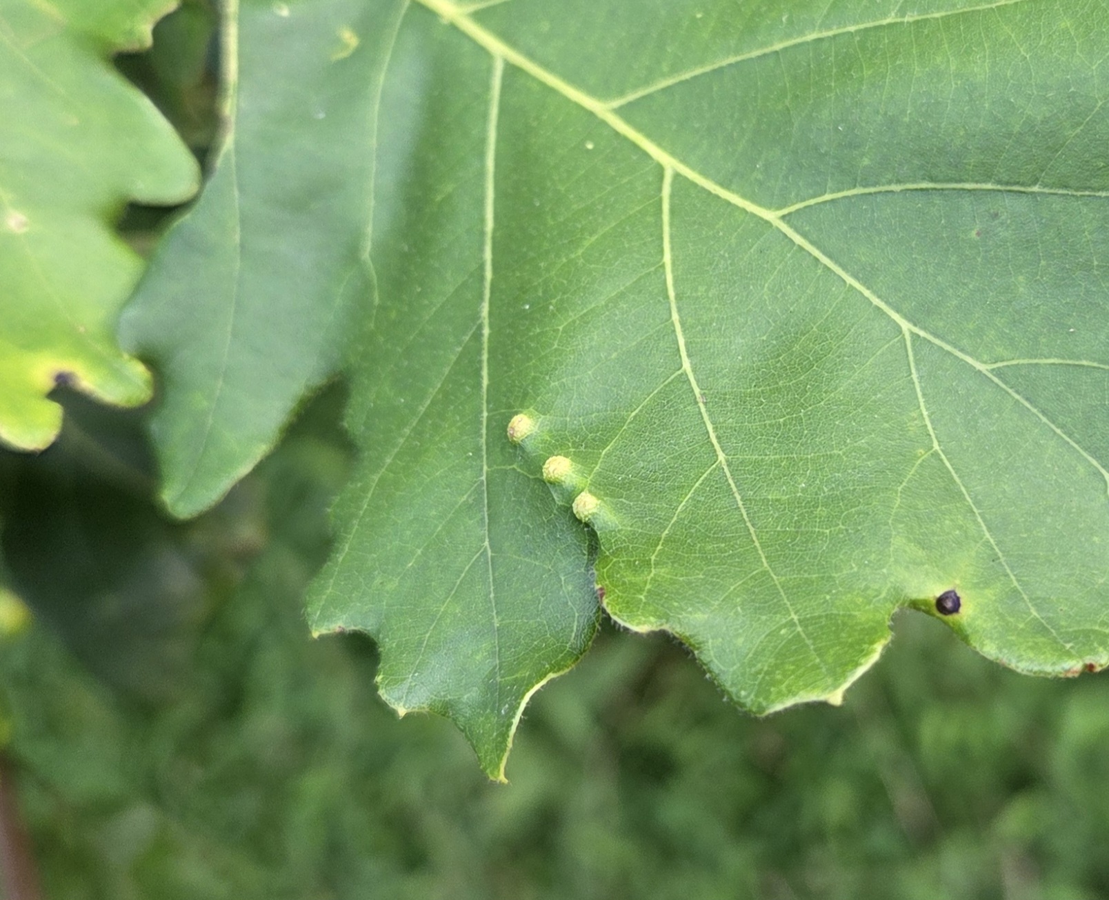
"Causes fuzzy, white to brown galls, about 2.5 mm across, on the undersides of leaves of oaks in the white oak group" (BugGuide, 2017).
Citations
No citations linked for this taxon yet.
Use of media featured on Maryland
Biodiversity Project is only permitted with express permission of the
photographer.
Neuroterus quercusverrucarum in Garrett Co., Maryland (8/18/2019). (c) Bill Blauvelt, some rights reserved (CC BY-NC).
View Record Details
Media by
Bill Blauvelt via iNaturalist.
Neuroterus quercusverrucarum in Garrett Co., Maryland (8/18/2019). (c) Bill Blauvelt, some rights reserved (CC BY-NC).
View Record Details
Media by
Bill Blauvelt via iNaturalist.
Neuroterus quercusverrucarum in Garrett Co., Maryland (8/18/2019). (c) Bill Blauvelt, some rights reserved (CC BY-NC).
View Record Details
Media by
Bill Blauvelt via iNaturalist.
Neuroterus quercusverrucarum galls on a white oak leaf in Baltimore City, Maryland (8/25/2016). Determined by Charley Eiseman/BugGuide.
View Record Details
Media by
Thomas Wilson.
Neuroterus quercusverrucarum galls on a white oak leaf in Baltimore City, Maryland (8/25/2016). Determined by Charley Eiseman/BugGuide.
View Record Details
Media by
Thomas Wilson.
Neuroterus quercusverrucarum in Anne Arundel Co., Maryland (11/28/2024). (c) Matthew Beziat, some rights reserved (CC BY-NC).
View Record Details
Media by
Matthew Beziat.
Neuroterus quercusverrucarum in Carroll Co. (8/3/2025). (c) Matthew Beziat, some rights reserved (CC BY-NC)
View Record Details
Media by
Matthew Beziat.
Neuroterus quercusverrucarum in Carroll Co. (8/3/2025). (c) Matthew Beziat, some rights reserved (CC BY-NC)
View Record Details
Media by
Matthew Beziat.
Neuroterus quercusverrucarum in Baltimore Co. (9/21/2025). (c) Matthew Beziat, some rights reserved (CC BY-NC)
View Record Details
Media by
Matthew Beziat.
Neuroterus quercusverrucarum in Baltimore Co. (9/21/2025). (c) Matthew Beziat, some rights reserved (CC BY-NC)
View Record Details
Media by
Matthew Beziat.