Map Snapshot
38 Records
Citations
No citations linked for this taxon yet.
Use of media featured on Maryland
Biodiversity Project is only permitted with express permission of the
photographer.
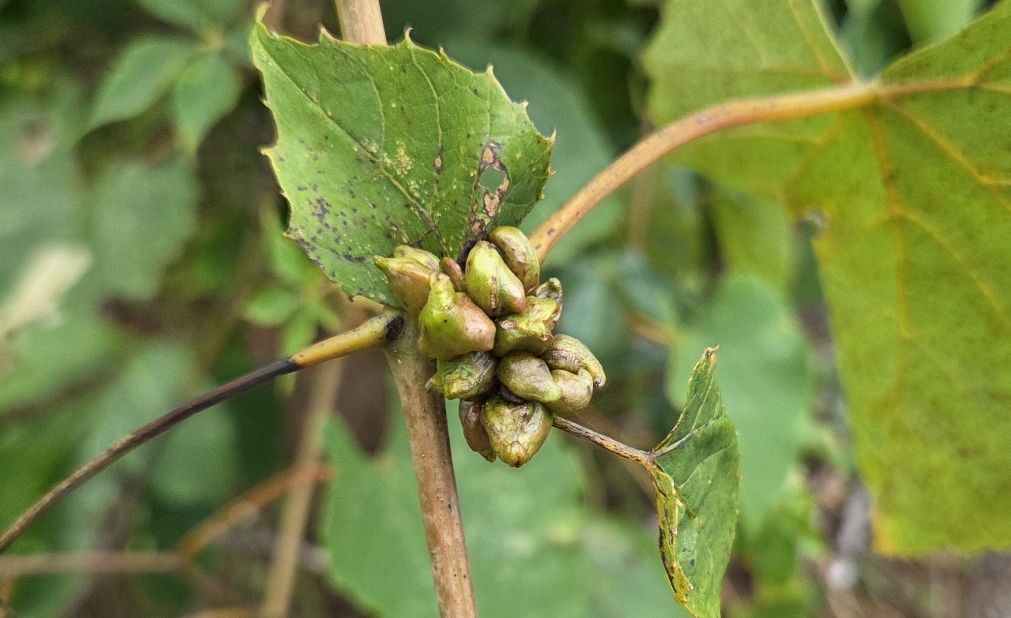
Schizomyia vitiscoryloides galls on a wild grape in Baltimore City, Maryland (8/9/2010). Determined by Charley Eiseman/BugGuide.
View Record Details
Media by
Thomas Wilson.
Grape Filbert Galls in Washington Co., Maryland (9/12/2020). (c) Mark Etheridge, some rights reserved (CC BY-NC).
View Record Details
Media by
Mark Etheridge.
Grape Filbert Galls in Washington Co., Maryland (9/12/2020). (c) Mark Etheridge, some rights reserved (CC BY-NC).
View Record Details
Media by
Mark Etheridge.
Grape Gall (Schizomia vitiscoryloides) in Baltimore Co., Maryland (8/16/2013). Raeven Davis notes: "4 days later - slight increase in size, but not shape; color has deepened."
Media by
Raeven Davis.
Grape Filbert Gall in Prince George's Co., Maryland (8/12/2017). (c) Michael Ellis, some rights reserved (CC BY).
View Record Details
Media by
Michael Ellis via iNaturalist.
Grape Filbert Gall in Prince George's Co., Maryland (8/12/2017). (c) Michael Ellis, some rights reserved (CC BY).
View Record Details
Media by
Michael Ellis via iNaturalist.
Grape Filbert Gall in Wicomico Co., Maryland (8/9/2021). (c) suprof2021, some rights reserved (CC BY-NC).
View Record Details
Media by
suprof2021 via iNaturalist.
Grape Filbert Gall in Prince George's Co., Maryland (8/12/2017). (c) Michael Ellis, some rights reserved (CC BY).
View Record Details
Media by
Michael Ellis via iNaturalist.
Grape Filbert Gall in Prince George's Co., Maryland (8/12/2017). (c) Michael Ellis, some rights reserved (CC BY).
View Record Details
Media by
Michael Ellis via iNaturalist.
Grape Filbert Gall in Prince George's Co., Maryland (8/12/2017). (c) Michael Ellis, some rights reserved (CC BY).
View Record Details
Media by
Michael Ellis via iNaturalist.
Grape Filbert Gall in Carroll Co., Maryland (9/16/2021). (c) tomfeild, some rights reserved (CC BY-NC).
View Record Details
Media by
Tom Feild.
Grape Filbert Gall in Baltimore Co., Maryland (7/26/2021). (c) Whitni Brown, some rights reserved (CC BY-NC-SA).
View Record Details
Media by
creepthecreek via iNaturalist.
Grape Filbert Gall in Anne Arundel Co., Maryland (7/15/2021). (c) Matthew Beziat, some rights reserved (CC BY-NC).
View Record Details
Media by
Matthew Beziat.
Grape Filbert Gall in Allegany Co., Maryland (9/12/2021). (c) johnbotany, some rights reserved (CC BY-NC).
View Record Details
Media by
John Hall.
Grape Filbert Gall in Anne Arundel Co., Maryland (8/26/2021). (c) Matthew Beziat, some rights reserved (CC BY-NC).
View Record Details
Media by
Matthew Beziat.
Grape Filbert Gall in Baltimore Co., Maryland (9/1/2020). (c) Matthew Beziat, some rights reserved (CC BY-NC).
View Record Details
Media by
Matthew Beziat.
Grape Filbert Gall in Anne Arundel Co., Maryland (8/27/2022). (c) Matthew Beziat, some rights reserved (CC BY-NC).
View Record Details
Media by
Matthew Beziat.
Grape Filbert Gall in Anne Arundel Co., Maryland (8/19/2021). (c) Matthew Beziat, some rights reserved (CC BY-NC).
View Record Details
Media by
Matthew Beziat.
Grape Filbert Gall in Prince George's Co., Maryland (6/21/2025). (c) Matthew Beziat, some rights reserved (CC BY-NC).
View Record Details
Media by
Matthew Beziat.
Grape Filbert Gall in Baltimore City, Maryland (8/20/2024). (c) Matthew Beziat, some rights reserved (CC BY-NC).
View Record Details
Media by
Matthew Beziat.
Grape Filbert Gall in Queen Anne's Co., Maryland (8/19/2025). (c) Matthew Beziat, some rights reserved (CC BY-NC).
View Record Details
Media by
Matthew Beziat.
Grape Filbert Gall in Anne Arundel Co., Maryland (9/27/2025). (c) Matthew Beziat, some rights reserved (CC BY-NC)
View Record Details
Media by
Matthew Beziat.
Source: Wikipedia
| Ampelomyia vitiscoryloides | |
|---|---|
| Ampelomyia vitiscoryloides galls | |
| Scientific classification | |
| Kingdom: | Animalia |
| Phylum: | Arthropoda |
| Clade: | Pancrustacea |
| Class: | Insecta |
| Order: | Diptera |
| Family: | Cecidomyiidae |
| Genus: | Ampelomyia |
| Species: | A. vitiscoryloides
|
| Binomial name | |
| Ampelomyia vitiscoryloides (Packard, 1869)
| |
| Synonyms | |
| |
Ampelomyia vitiscoryloides, the grape filbert gall midge, is a species of gall midge in the family Cecidomyiidae. It induces galls on grape plants and is widespread in eastern North America.[1][2] It was first described by Alpheus Spring Packard in 1869.[1]
References
[edit]- ^ a b R.J. Gagne; M. Jaschof (2021). A Catalog of the Cecidomyiidae (Diptera) of the World (5th ed.). ISBN 978-0-9863941-3-3. Wikidata Q109561625.
- ^ Ayman Khamis Elsayed; Nami Uechi; Junichi Yukawa; Makoto Tokuda (14 February 2019). "Ampelomyia, a new genus of Schizomyiina (Diptera: Cecidomyiidae) associated with Vitis (Vitaceae) in the Palaearctic and Nearctic regions, with description of a new species from Japan". The Canadian Entomologist. 151 (02): 149–162. doi:10.4039/TCE.2018.69. ISSN 0008-347X. Wikidata Q104458634.