Map Snapshot
7 Records
Status
Widespread in the eastern U.S.
Relationships
Parasitizes caterpillars, including Gypsy Moth.
Citations
No citations linked for this taxon yet.
Use of media featured on Maryland
Biodiversity Project is only permitted with express permission of the
photographer.
A Theronia hilaris in Baltimore Co., Maryland (6/5/2020). Determined by Ken Wolgemuth/BugGuide and Ross Hill via BugGuide.
View Record Details
Media by
Emily Stanley.
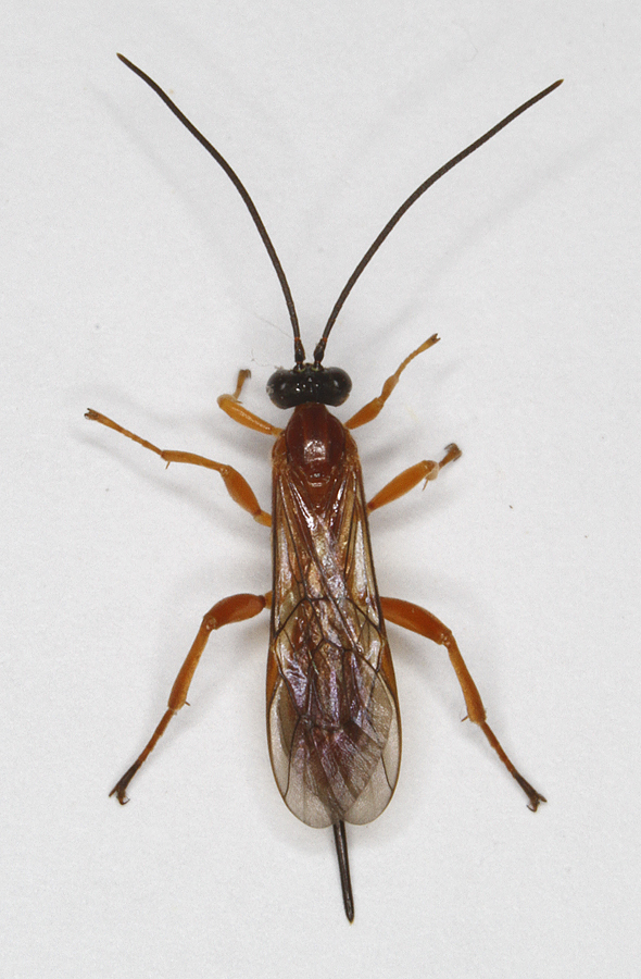
A female Theronia hilaris in Anne Arundel Co., Maryland (9/28/2014). Determined by Bob Carlson/BugGuide.
View Record Details
Media by
Bill Hubick.
A female Theronia hilaris in Anne Arundel Co., Maryland (9/28/2014). Determined by Bob Carlson/BugGuide.
View Record Details
Media by
Bill Hubick.
A Theronia hilaris in Montgomery Co., Maryland (6/25/2017). Verified by Ross Hill/BugGuide.
View Record Details
Media by
Steve Scholnick.
A male Theronia hilaris in Frederick Co., Maryland (7/30/2017). Determoned by Ken Wolgemuth/BugGuide.
View Record Details
Media by
Mark Etheridge.
Theronia hilaris in Anne Arundel Co., Maryland (9/28/2014). (c) Bill Hubick, all rights reserved
View Record Details
Media by
Bill Hubick.